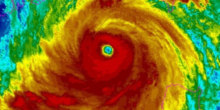
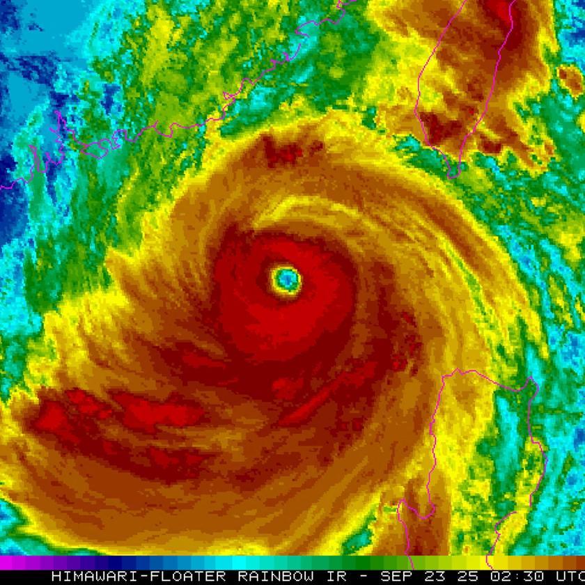
A second super typhoon is rapidly advancing toward the Philippines, forcing the evacuation of over one million residents as authorities brace for catastrophic impact. Following closely on the heels of recent storms, the approaching typhoon threatens severe flooding, landslides, and widespread destruction across vulnerable regions. Emergency services and government agencies have mobilized extensive preparations in a race against time to safeguard lives and property amid the escalating natural disaster.
Millions Evacuated Amid Rising Threat as Super Typhoon Approaches Philippines
The Philippine government has initiated one of its largest evacuation efforts in recent memory, moving over a million residents from vulnerable coastal and low-lying areas as a catastrophic typhoon advances across the region. Authorities emphasize the urgency of the situation, urging families to seek shelter in designated safe zones. Early forecasts predict extreme winds exceeding 200 km/h and torrential rains, with potential flooding and landslides posing significant risks to both urban and rural communities.
Emergency services, along with military and local volunteers, are on high alert, coordinating resources and relief operations. Key safety measures include:
- Pre-positioning of food and medical supplies near evacuation centers
- Road closures and traffic rerouting to facilitate the smooth movement of evacuees
- 24/7 weather monitoring with real-time updates shared through multiple channels
- Deployment of rescue teams ready to respond to flooding and landslides
| Province | Evacuated | Shelter Capacity |
|---|---|---|
| Albay | 320,000 | 350,000 |
| Catanduanes | 180,000 | 200,000 |
| Sorsogon | 260,000 | 275,000 |
| Quezon | 250,000 | 270,000 |
Assessing the Impact Potential and Preparedness Measures in Vulnerable Regions
The approaching super typhoon threatens to exacerbate existing vulnerabilities in the Philippines, particularly in coastal and low-lying areas prone to flooding and landslides. Local governments have activated emergency protocols, but the sheer scale of the forecasted storm surge and wind speeds demands an unprecedented level of coordination. Critical infrastructure such as power grids, communication networks, and healthcare facilities remain at high risk, complicating both evacuation and relief efforts.
Preparedness measures currently in place include:
- Evacuation of over one million residents from high-risk zones
- Pre-positioning of emergency supplies in regional warehouses
- Deployment of rapid response teams equipped for search and rescue
- Real-time weather monitoring and public information broadcasts
| Region | Evacuation Centers | Medical Teams | Power Outage Risk |
|---|---|---|---|
| Visayas | 45 | 120 | High |
| Luzon | 70 | 150 | Very High |
| Mindanao | 30 | 80 | Moderate |
Critical Safety Recommendations for Residents and Emergency Responders Facing Typhoon Onslaught
Residents are urged to take immediate precautionary actions to safeguard lives and property as the typhoon intensifies. Ensure all windows and doors are securely fastened using storm shutters or plywood. Stock up on essential supplies including clean water, non-perishable food items, medications, and flashlights with extra batteries. Evacuation orders must be followed without delay, especially for those in low-lying or coastal areas prone to flooding and landslides. Remain indoors during the storm, avoid travel, and keep informed through official channels for the latest updates.
Emergency responders face heightened challenges requiring swift coordination and resource allocation. Establish clear communication lines between local government units and disaster response teams. Prioritize deployment of rescue units to vulnerable neighborhoods identified in advance through risk assessment maps. Utilize the following protocol to optimize response effectiveness:
- Activate rapid response teams with specialized equipment for flood and debris rescue.
- Coordinate relief supply distribution centers to minimize delays.
- Conduct regular status briefings to adapt to the changing weather conditions and on-the-ground realities.
- Ensure the safety of responders with proper protective gear and rest schedules.
| Action | Residents | Responders |
|---|---|---|
| Evacuation | Follow official orders | Assist vulnerable groups first |
| Communication | Stay tuned via radio, mobile alerts | Maintain contact with command centers |
| Safety Measures | Secure home and essentials | Use protective equipment |
The Conclusion
As the Philippines braces for the arrival of a second super typhoon within weeks, authorities continue to prioritize the safety of millions of residents through large-scale evacuations and emergency preparedness measures. The unfolding situation remains fluid, with meteorologists closely monitoring the storm’s trajectory and intensity. The coming days will be critical as communities along the typhoon’s path face the formidable challenge of enduring yet another devastating natural disaster. Further updates will follow as the situation develops.
















